貸地 町田市 下小山田町 (唐木田駅) 資材置場用地
| 賃料 | 18万円 | 管理費等 | - | ||
|---|---|---|---|---|---|
| 敷金 / 保証金 | なし/5ヶ月 | 礼金 | なし | ||
| 交通 | 小田急多摩線 / 唐木田駅 徒歩20分 | ||||
| 所在地 | 東京都町田市下小山田町 | ||||
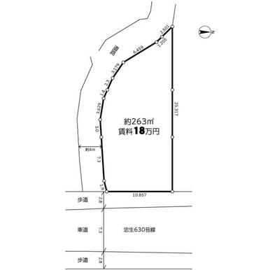
| 土地面積 | 263.00㎡ | 坪数/坪単価 | 79.55坪/0.23万円 | ||
| 最適用途 | 資材置場用地 | 建ぺい率/容積率 | -/- | ||
- 更地
- 上水道
- 下水道
- 電気
- 都市ガス
- プロパンガス
- 側溝
- 角地
- 即引渡し可
- 浄化槽
物件詳細情報
| 交通 | 小田急多摩線 / 唐木田駅 徒歩20分 | ||
|---|---|---|---|
| その他交通 | 京王相模原線 / 京王堀之内駅 徒歩40分 |
||
| 所在地 | 東京都町田市下小山田町 | ||
| 物件種目 | 貸地 | ||
| 賃料 | 18万円 | 管理費等 | - |
|---|---|---|---|
| 敷金/保証金 | なし/5ヶ月 | 礼金 | なし |
| 敷引 | - | 保証金償却 | - |
| その他一時金 | - | 維持費等 | - |
| 保険等 | - | 権利金 | - |
| 坪単価 | 0.23万円 |
| 設備 | - | ||
|---|---|---|---|
| 特記事項 | 分割可 | ||
| 備考 | 法令等制限:宅地造成工事規制区域 景観計画区域 償却条件:契約期間満了時に保証金1ヵ月分を償却し、その後保証金1ヵ月分を充当していただきます |
||
| 土地面積 | 263.00㎡ | 坪数 | 79.55坪 |
|---|---|---|---|
| 私道負担面積 | - | 都市計画 | 調整区域 |
| 用途地域 | - | 最適用途 | 資材置場用地 |
| 建ぺい率 | - | 容積率 | - |
| 地勢 | - | 接道状況 | 角地:2方道路 南4.0m 公道 接面32.8m 東12.9m 接面10.8m |
| 地目 | 雑種地 | セットバック | - |
| 契約期間 | 1年 | 現況 | 更地 |
|---|---|---|---|
| 条件等 | - | 引渡可能時期 | 相談 |
| 更新料 | なし | ||
| 物件番号 | 0861002401 | ||
| 情報公開日 | 2026/01/13 | 次回更新予定日 | 2026/02/24 |
※「-」と表示されている項目については、情報提供会社にご確認ください。
情報提供会社
(有)ミタテホーム
- 交通:
- 小田急小田原線/百合ヶ丘 徒歩3分
- 住所:
- 神奈川県川崎市麻生区百合丘2丁目19-1
- TEL:
- 044-955-3171
- FAX:
- 044-955-3178
- 所属団体など:
(公社)全日本不動産協会会員 全国賃貸管理ビジネス協会会員 (公社)首都圏不動産公正取引協議会加盟 - 取引態様:
- 仲介
- 免許番号:
- 神奈川県知事免許(12)第11469号
- 間取図は、現況を優先させていただきます。
- 映像は物件の一部を撮影したものです。物件の契約にあたっての最終判断はご自身の判断に基づいて行ってください。
-
仲介手数料について
仲介手数料とは 貸主と借主の契約の仲立ちを行う不動産会社に支払う報酬です。宅地建物取引業法等(法第46条・建設省告示第1552号他)により取引態様ごとに受け取ることのできる報酬の上限額が定められています。
取引態様が「貸主」の場合は不要です。
「仲介」の場合、居住用の物件は月額賃料の0.55ヶ月分の範囲内とされています。なお、物件によって、月額賃料の1.1ヶ月分を上限とした範囲内で必要となる場合があります。
「代理」の場合、月額賃料の1.1ヶ月分の範囲内とされています。
※宅地または居住用以外の建物で権利金がある物件に関しては、権利金の額を売買代金の額とみなして算出される場合があります。
権利金を以下のように区分し、それぞれ定められた割合を乗じて得た金額の合計額が上限となります。
(賃貸借に係る消費税額を除外した額)200万円以下の金額 5.5% 200万円を超え400万円以下の金額 4.4% 400万円を超える金額 3.3%
物件によって金額が異なります。
お問い合わせの際は十分ご確認ください。 - 消費税について
当サイトの課税対象となる物件価格およびその他費用等は、税込み表示となっております(100円未満は切上げ)。
詳しくは、当社までお問い合わせください。
